Journal of Southern Medical University ›› 2026, Vol. 46 ›› Issue (3): 666-674.doi: 10.12122/j.issn.1673-4254.2026.03.20
Yuyang ZHANG1(
), Ying SHEN2(
), Xinyu TONG2, Yukui DUAN2, Yunna LUO3, Wenqi GUO4
Received:2025-07-17
Online:2026-03-20
Published:2026-03-26
Contact:
Ying SHEN
E-mail:943304172@qq.com;shenying_abc@sohu.com
Yuyang ZHANG, Ying SHEN, Xinyu TONG, Yukui DUAN, Yunna LUO, Wenqi GUO. Silybin inhibits fibrosis after glaucoma filtration surgery in rabbits by promoting fibroblast autophagy[J]. Journal of Southern Medical University, 2026, 46(3): 666-674.
Add to citation manager EndNote|Ris|BibTeX
URL: https://www.j-smu.com/EN/10.12122/j.issn.1673-4254.2026.03.20
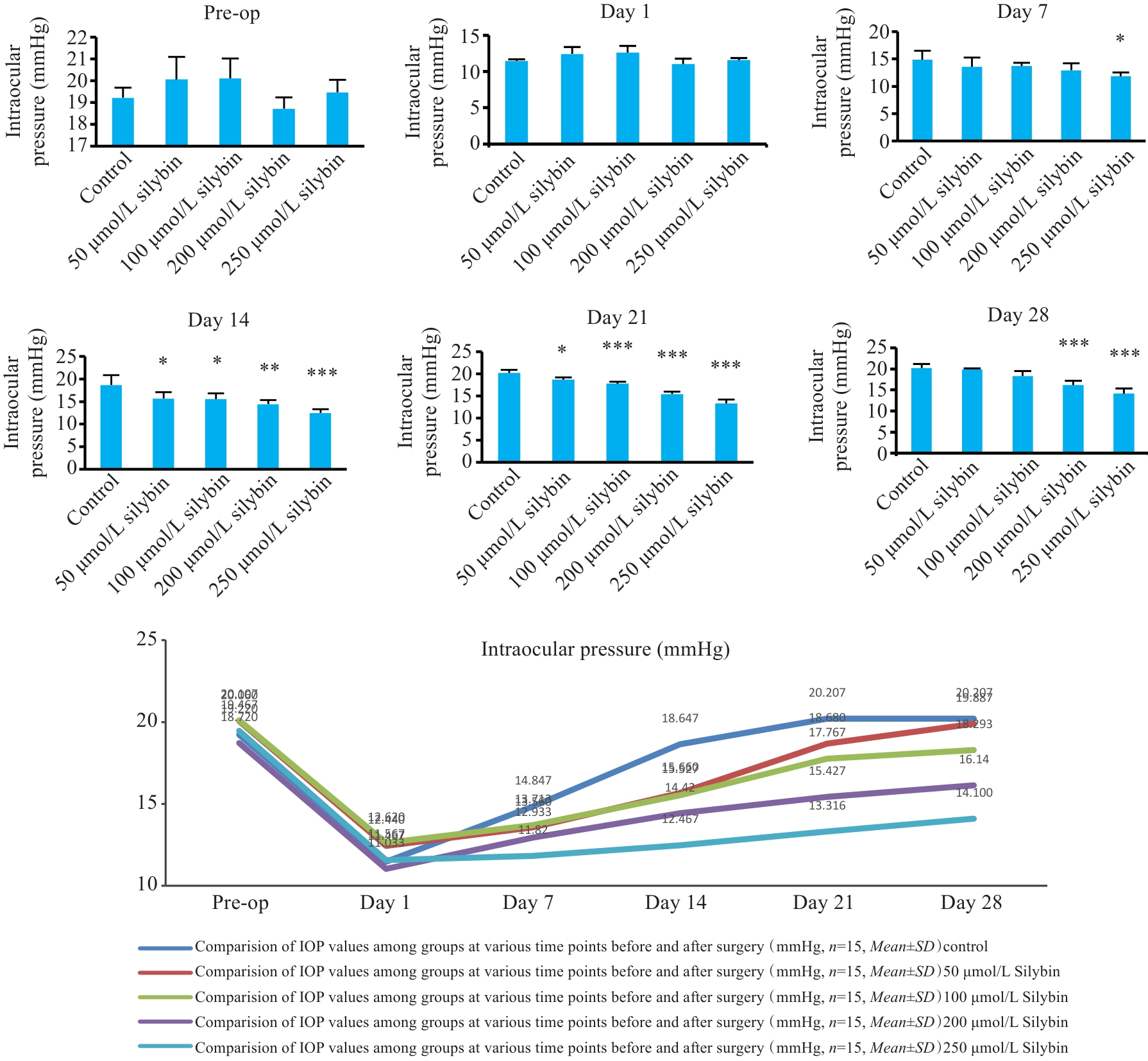
Fig.1 Test results of intraocular pressure of the rabbits in the experimental groups and control group. *P<0.05, **P<0.01, ***P<0.001 vs Control group (n=15).
| Surgery time (day) | Control | Silybin (μmol/L) | |||
|---|---|---|---|---|---|
| 50 | 100 | 200 | 250 | ||
| 1 | 5 (100%) | 5 (100%) | 5 (100%) | 5 (100%) | 5 (100%) |
| 7 | 5 (100%) | 5 (100%) | 5 (100%) | 5 (100%) | 5 (100%) |
| 14 | 0 (0%) | 1 (20%) | 3 (60%)* | 5 (100%)*** | 5 (100%)*** |
| 21 | 0 (0%) | 1 (20%) | 2 (40%) | 4 (80%)*** | 5 (100%)*** |
| 28 | 0 (0%) | 0 (0%) | 0 (0%) | 2 (40%) | 4 (80%)*** |
Tab.2 Comparison of the number of functional filtration blebs between experimental groups and control group (n, %)
| Surgery time (day) | Control | Silybin (μmol/L) | |||
|---|---|---|---|---|---|
| 50 | 100 | 200 | 250 | ||
| 1 | 5 (100%) | 5 (100%) | 5 (100%) | 5 (100%) | 5 (100%) |
| 7 | 5 (100%) | 5 (100%) | 5 (100%) | 5 (100%) | 5 (100%) |
| 14 | 0 (0%) | 1 (20%) | 3 (60%)* | 5 (100%)*** | 5 (100%)*** |
| 21 | 0 (0%) | 1 (20%) | 2 (40%) | 4 (80%)*** | 5 (100%)*** |
| 28 | 0 (0%) | 0 (0%) | 0 (0%) | 2 (40%) | 4 (80%)*** |
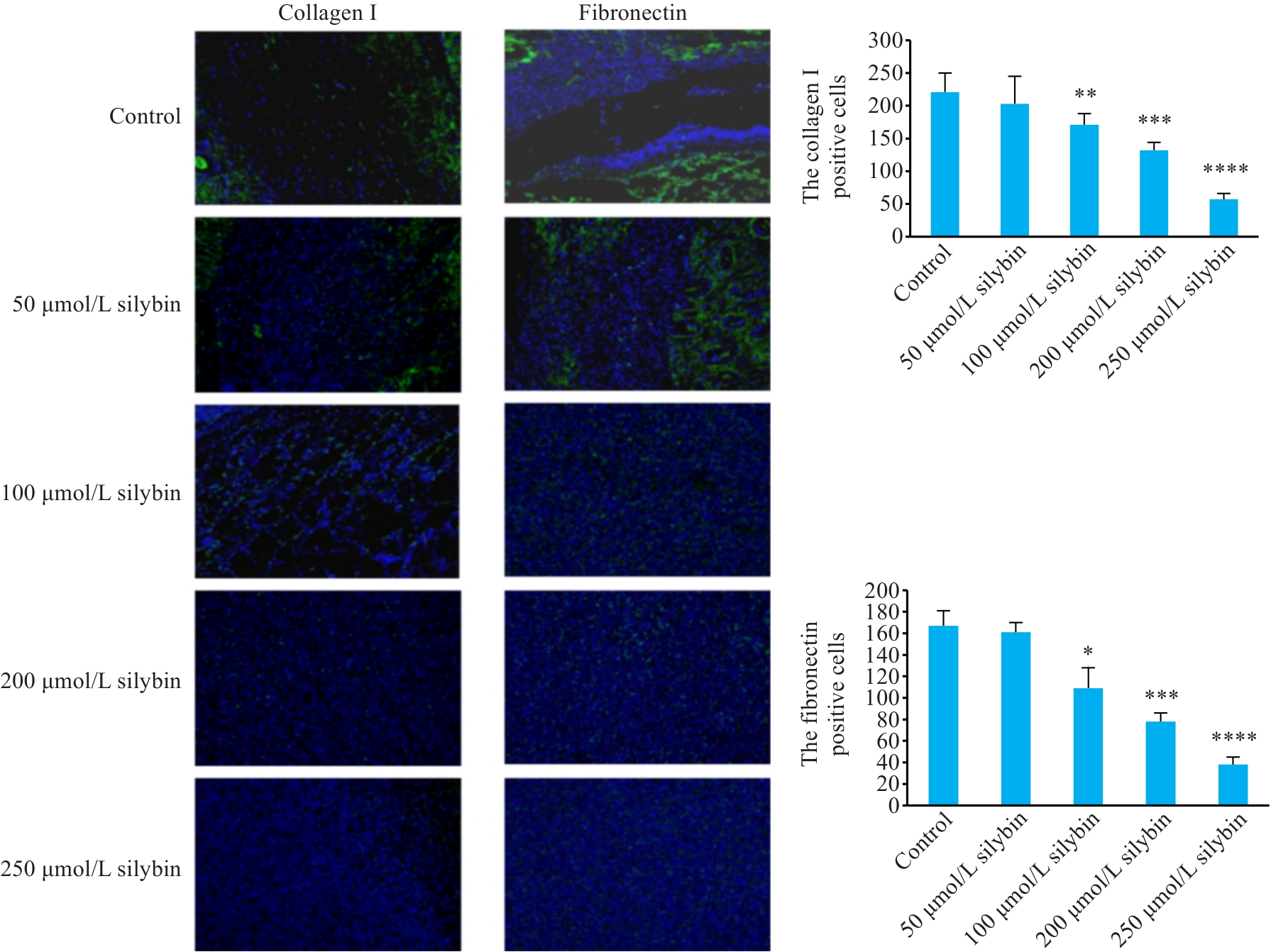
Fig.4 Immunofluorescence staining for fibronectin and collagen I in each group (×40). The nuclei were stained by DAPI (blue under ultraviolet excitation), and green fluorescence indicates positive expression. *P <0.05, **P <0.01, ***P <0.001, ****P <0.0001 vs Control group.
Fig.5 Morphology of cultured rabbit Tenons capsule fibroblasts (RYTF). Green arrow indicates significant fibrosis characteristics of rabbit Tenon's capsule cells (×40).
Fig.6 Immunofluorescence identification of RYTF (×400). Cell nuclei were stained blue with DAPI (A). RYTF showed a positive reaction for vimentin with red staining labeled with CY3 (B), while negative staining for keratin with green staining labeled with 488 (C).
Fig.7 Morphological observation of TGF-β1-induced rabbit Tenons capsular fibroblasts treated with silybin (×40). A: Control group. B: TGF-β1 treatment group. C: TGF-β1 and 200 μmol/L silybin treatment group. Green arrows indicate significant fibrosis characteristics of rabbit Tenon's capsule cells.
| [1] | Guo L, Wang N, Chen J, et al. Cellular senescence and glaucoma[J]. Exp Gerontol, 2025, 202: 112718. doi:10.1016/j.exger.2025.112718 |
| [2] | Tham Y, Li X, Wong TY, et al. Global prevalence of glaucoma and projections of glaucoma burden through 2040: a systematic review and meta-analysis[J]. Ophthalmology, 2014,121(11):2081-90. doi:10.1016/j.ophtha.2014.05.013 |
| [3] | Boland MV, Ervin AM, Friedman DS, et al. Comparative effectiveness of treatments for open-angle glaucoma: a systematic review for the U.S. preventive services task force[J]. Ann Intern Med, 2013, 158(4): 271-9. doi:10.7326/0003-4819-158-4-201302190-00008 |
| [4] | Gedde SJ, Schiffman JC, Feuer WJ, et al. Treatment outcomes in the tube versus trabeculectomy (TVT) study after five years of follow-up[J]. Am J Ophthalmol, 2012, 153(5): 789-803.e2. doi:10.1016/j.ajo.2011.10.026 |
| [5] | Lai C, Shao SC, Chen YH, et al. Trabeculectomy with antimetabolite agents for normal tension glaucoma: a systematic review and meta-analysis[J]. Front Med, 2022, 9: 932232. doi:10.3389/fmed.2022.932232 |
| [6] | 苗晓晴, 黄祖烽, 陈玄之, 等. 两种质量浓度丝裂霉素C应用于青光眼手术中的效果比较[J]. 广东医学院学报, 2016, 34(4): 419-21. doi:10.3969/j.issn.1005-4057.2016.04.024 |
| [7] | Li WB, Qu XN, Kang XP, et al. Silibinin eliminates mitochondrial ROS and restores autophagy through IL6ST/JAK2/STAT3 signaling pathway to protect cardiomyocytes from doxorubicin-induced injury[J]. Eur J Pharmacol, 2022, 929: 175153. doi:10.1016/j.ejphar.2022.175153 |
| [8] | Chen HQ, Wang XJ, Wang MH, et al. Behavioral and neurochemical deficits in aging rats with increased neonatal iron intake: silibinin's neuroprotection by maintaining redox balance[J]. Front Aging Neurosci, 2015, 7: 206. doi:10.3389/fnagi.2015.00206 |
| [9] | Liu B, Liu WW, Liu PW, et al. Silibinin alleviates the learning and memory defects in overtrained rats accompanying reduced neuronal apoptosis and senescence[J]. Neurochem Res, 2019, 44(8): 1818-29. doi:10.1007/s11064-019-02816-2 |
| [10] | Gillessen A, Schmidt HHJ. Silymarin as supportive treatment in liver diseases: a narrative review[J]. Adv Ther, 2020, 37(4): 1279-301. doi:10.1007/s12325-020-01251-y |
| [11] | Ma ZC, Zang WW, Wang HG, et al. Silibinin enhances anti-renal fibrosis effect of MK-521 via downregulation of TGF-β signaling pathway[J]. Hum Cell, 2020, 33(2): 330-6. doi:10.1007/s13577-019-00314-9 |
| [12] | Liu K, Zhou SJ, Liu JY, et al. Silibinin attenuates high-fat diet-induced renal fibrosis of diabetic nephropathy[J]. Drug Des Dev Ther, 2019, 13: 3117-26. doi:10.2147/dddt.s209981 |
| [13] | Shen Y, Zhao HX, Wang ZG, et al. Silibinin declines blue light-induced apoptosis and inflammation through MEK/ERK/CREB of retinal ganglion cells[J]. Artif Cells Nanomed Biotechnol, 2019, 47(1): 4059-65. doi:10.1080/21691401.2019.1671430 |
| [14] | 邰 雪, 申 颖, 赵海霞, 等. 雷帕霉素在兔眼滤过性手术后的抗瘢痕作用[J]. 南方医科大学学报, 2020, 40(9): 1346-52. doi:10.12122/j.issn.1673-4254.2020.09.19 |
| [15] | Wotke J, Homolka P, Vasku J, et al. Histopathology image analysis in two long-term animal experiments with helical flow total artificial heart[J]. Artif Organs, 2016, 40(12): 1137-45. doi:10.1111/aor.12689 |
| [16] | Kim JS, Han NK, Kim SH, et al. Silibinin attenuates radiation-induced intestinal fibrosis and reverses epithelial-to-mesenchymal transition[J]. Oncotarget, 2017, 8(41): 69386-97. doi:10.18632/oncotarget.20624 |
| [17] | Ali SA, Saifi MA, Godugu C, et al. Silibinin alleviates silica-induced pulmonary fibrosis: Potential role in modulating inflam-mation and epithelial-mesenchymal transition[J]. Phytother Res, 2021, 35(9): 5290-304. doi:10.1002/ptr.7210 |
| [18] | Zhang F, Liu K, Cao MD, et al. Rosiglitazone treatment prevents postoperative fibrosis in a rabbit model of glaucoma filtration surgery[J]. Invest Ophthalmol Vis Sci, 2019, 60(7): 2743. doi:10.1167/iovs.18-26526 |
| [19] | Hu R, Wang XJ, Chen S, et al. Qingguang'an-induced autophagy in TFs inhibits scar formation: a follow-up in vivo mechanistic investigation[J]. J Tradit Complementary Med, 2024, 14(2): 173-81. doi:10.1016/j.jtcme.2023.10.002 |
| [20] | Chen YH, Liang CM, Chen CL, et al. Silibinin inhibits myofibroblast transdifferentiation in human tenon fibroblasts and reduces fibrosis in a rabbit trabeculectomy model[J]. Acta Ophthalmol, 2013, 91(7): e506-15. doi:10.1111/aos.12160 |
| [21] | Wang XH, Chen KP, Yao YH, et al. TGFβ1-induced fibrotic responses of conjunctival fibroblasts through the Wnt/β‑catenin/CRYAB signaling pathway[J]. Am J Pathol, 2024, 194(9): 1764-79. doi:10.1016/j.ajpath.2024.05.002 |
| [22] | Chen YY, Chen YR, Li CM, et al. Transcription factor SP1 drives TGF‑β1-induced transformation of human tenon's capsule fibro-blasts by transcription activation-mediated SNAI2 upregulation[J]. Int Ophthalmol, 2025, 45(1): 243. doi:10.1007/s10792-025-03581-8 |
| [23] | Wu XP, Liang J, Liu JF, et al. Silibinin attenuates TGF-β2-induced fibrogenic changes in human trabecular meshwork cells by targeting JAK2/STAT3 and PI3K/AKT signaling pathways[J]. Exp Eye Res, 2024, 244: 109939. doi:10.1016/j.exer.2024.109939 |
| [24] | Gupta A, Kafetzis KN, Tagalakis AD, et al. RNA therapeutics in ophthalmology-translation to clinical trials[J]. Exp Eye Res, 2021, 205: 108482. doi:10.1016/j.exer.2021.108482 |
| [25] | Cao JJ, Han FF, Kou ZY, et al. Effect of SB431542 on autophagy and epithelial mesenchymal transition in retinal pigment epithelial cells induced by high glucose[J]. Chin J Ophthalmol, 2025,61(3):202-10. |
| [26] | Yamoto M, Alganabi M, Chusilp S, et al. Lysosomal overloading and necrotizing enterocolitis[J]. Pediatr Surg Int, 2020, 36(10): 1157-65. doi:10.1007/s00383-020-04724-x |
| [27] | Shang JN, Yu CG, Li R, et al. The nonautophagic functions of autophagy-related proteins[J]. Autophagy, 2024, 20(4): 720-34. doi:10.1080/15548627.2023.2254664 |
| [28] | Wu NX, Chen LB, Yan D, et al. Trehalose attenuates TGF‑β1-induced fibrosis of hSCFs by activating autophagy[J]. Mol Cell Biochem, 2020, 470(1): 175-88. doi:10.1007/s11010-020-03760-4 |
| [29] | Zhang YL, Zhang YQ, Lin HL, et al. Epigallocatechin-3-gallate increases autophagic activity attenuating TGF‑β1-induced transfo-rmation of human Tenon's fibroblasts[J]. Exp Eye Res, 2021, 204: 108447. doi:10.1016/j.exer.2021.108447 |
| [30] | Huang X, Zhang JP, Yao J, et al. Phase separation of p62: roles and regulations in autophagy[J]. Trends Cell Biol, 2025, 35(10): 854-65. doi:10.1016/j.tcb.2025.01.010 |
| [31] | Aredia F, Guamán Ortiz LM, Giansanti V, et al. Autophagy and cancer[J]. Cells, 2012, 1(3): 520-34. doi:10.3390/cells1030520 |
| [32] | Ji Y, Li L, Ma YX, et al. Quercetin inhibits growth of hepatocellular carcinoma by apoptosis induction in part via autophagy stimulation in mice[J]. J Nutr Biochem, 2019, 69: 108-19. doi:10.1016/j.jnutbio.2019.03.018 |
| [33] | 朱晓敏, 钟 颖, 黄娜娜, 等. 基于Akt/mTOR通路研究地榆皂苷Ⅱ诱导肝癌细胞凋亡和自噬作用机制[J]. 中草药, 2024, 55(11): 3726-34. doi:10.7501/j.issn.0253-2670.2024.11.015 |
| [1] | Caixia LI, Lihua CUI, Jie CAO, Yuxing FAN, Xueying ZHOU, Shukun ZHANG, Yanjie ZUO. Huoxue Qingjie Ling alleviates bile duct ligation-induced hepatic fibrosis in rats by regulating the Sirt1-autophagy signaling pathway [J]. Journal of Southern Medical University, 2026, 46(3): 513-522. |
| [2] | Qile SONG, Yikai MIAO, Xiaotong FENG, Yifan WANG, Wei LIU, Qi WEI, Xinru YU, Wenwen CHEN, Xiaoyan FU. Selenocystine inhibits colon cancer cell growth by promoting reactive oxygen species generation to trigger oxidative damage [J]. Journal of Southern Medical University, 2026, 46(3): 532-540. |
| [3] | Yizhen CHEN, Weili WANG, Meng CHENG, Wei ZHANG, Yilin GAO, Xin HONG, Lei ZHANG, Rong DAI, Yiping WANG. Qingshen Granules inhibits renal fibrosis in mice by regulating glycolytic reprogramming and H3K18 lactylation [J]. Journal of Southern Medical University, 2026, 46(3): 582-591. |
| [4] | Hexin WEN, Jie LIN, Lugen ZUO, Mulin LIU. Niranthin ameliorates Crohn's disease-like colitis in mice via antagonizing intestinal epithelial cell apoptosis and regulating intestinal Th1/Th2 immune homeostasis [J]. Journal of Southern Medical University, 2026, 46(3): 655-665. |
| [5] | Tong QIAO, Lin YIN, Keni ZHANG, Minzhu NIU, Ju HUANG, Zhijun Geng, Jing LI, Jianguo HU. Poricoic acid A alleviates dextran sulfate sodium-induced colitis in mice by regulating AMPK/mTOR-mediated autophagy and inhibiting intestinal epithelial cell apoptosis [J]. Journal of Southern Medical University, 2026, 46(1): 131-140. |
| [6] | Shufen ZHANG, Tianrong HUANG, Canhong YANG, Jiayi CHEN, Tianming LÜ, Jiafa ZHANG. Sulforaphane reduces reactive astrocyte-mediated neuron apoptosis in vitro by inhibiting the MAPK/NF-κB signaling pathway in Aβ42 oligomer-activated astrocytes [J]. Journal of Southern Medical University, 2026, 46(1): 191-199. |
| [7] | Jinyan ZHAO, Jiao PENG, Minghe LIN, Xiaoqin ZHU, Bin HUANG, Jiumao LIN. Qingjie Fuzheng Granules alleviates 5-fluorouracil-induced skeletal muscle injury in tumor-bearing mice by inhibiting mitochondria-dependent apoptosis and activating the AMPK-PGC-1α pathway [J]. Journal of Southern Medical University, 2026, 46(1): 94-103. |
| [8] | Xiao ZHANG, Jingzhou MAN, Yong ZHANG, YunJian ZHENG, Heping WANG, Yijun YUAN, Xi XIE. Haematococcus pluvialis alleviates bleomycin-induced pulmonary fibrosis in mice by inhibiting transformation of lung fibroblasts into myofibroblast [J]. Journal of Southern Medical University, 2025, 45(8): 1672-1681. |
| [9] | Xiaoyu CHANG, Hanwen ZHANG, Hongting CAO, Ling HOU, Xin MENG, Hong TAO, Yan LUO, Guanghua LI. Heat stress affects expression levels of circadian clock gene Bmal1 and cyclins in rat thoracic aortic endothelial cells [J]. Journal of Southern Medical University, 2025, 45(7): 1353-1362. |
| [10] | Weiyi LI, Lu JIANG, Zongxing ZHANG, Dan CHEN, Zhuoma BAO, Li HUANG, Lin YUAN. Qianggu Kangshu Formula attenuates osteoclast differentiation in rheumatoid arthritis by inhibiting the HIF-1α/BNIP3 autophagy signaling pathway [J]. Journal of Southern Medical University, 2025, 45(7): 1389-1396. |
| [11] | Tingting YANG, Li ZHAO. A stable mouse model of chronic liver fibrosis induced by vitamin A deficiency and intraperitoneal CCl4 injection [J]. Journal of Southern Medical University, 2025, 45(7): 1527-1534. |
| [12] | Xinheng WANG, Xiaohan SHAO, Tongtong LI, Lu ZHANG, Qinjun YANG, Weidong YE, Jiabing TONG, Zegeng LI, Xiangming FANG. Pingchuanning Formula suppresses airway inflammation in a rat model of asthmatic cold syndrome by regulating the HMGB1/Beclin-1 axis-mediated autophagy [J]. Journal of Southern Medical University, 2025, 45(6): 1153-1162. |
| [13] | Guoyong LI, Renling LI, Yiting LIU, Hongxia KE, Jing LI, Xinhua WANG. Therapeutic mechanism of Arctium lappa extract for post-viral pneumonia pulmonary fibrosis: a metabolomics, network pharmacology analysis and experimental verification [J]. Journal of Southern Medical University, 2025, 45(6): 1185-1199. |
| [14] | Yujia YANG, Lifang YANG, Yaling WU, Zhaoda DUAN, Chunze YU, Chunyun WU, Jianyun YU, Li YANG. Cannabidiol inhibits neuronal endoplasmic reticulum stress and apoptosis in rats with multiple concussions by regulating the PERK-eIF2α-ATF4-CHOP pathway [J]. Journal of Southern Medical University, 2025, 45(6): 1240-1250. |
| [15] | Liping GUAN, Yan YAN, Xinyi LU, Zhifeng LI, Hui GAO, Dong CAO, Chenxi HOU, Jingyu ZENG, Xinyi LI, Yang ZHAO, Junjie WANG, Huilong FANG. Compound Centella asiatica formula alleviates Schistosoma japonicum-induced liver fibrosis in mice by inhibiting the inflammation-fibrosis cascade via regulating the TLR4/MyD88 pathway [J]. Journal of Southern Medical University, 2025, 45(6): 1307-1316. |
| Viewed | ||||||
|
Full text |
|
|||||
|
Abstract |
|
|||||